
$399,000
Melvin Road, American Canyon, California 94503
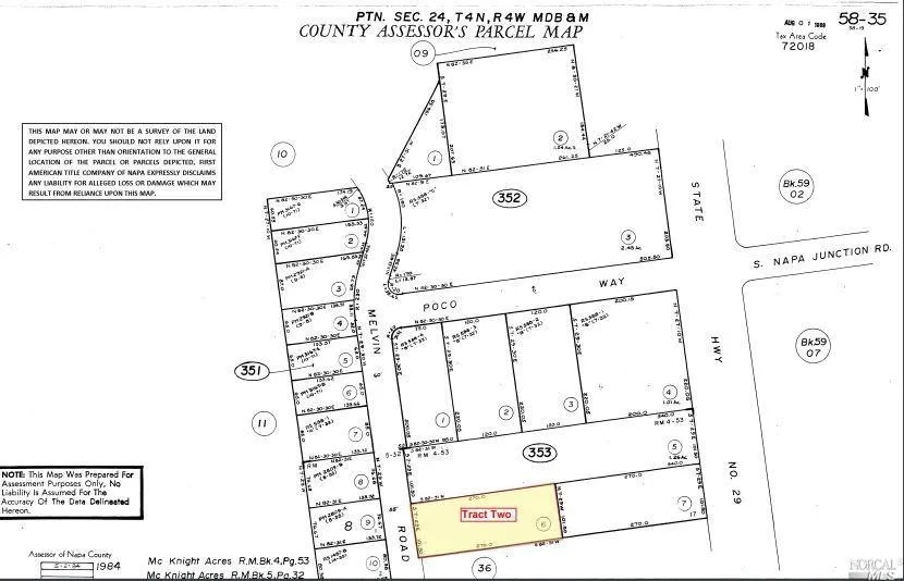
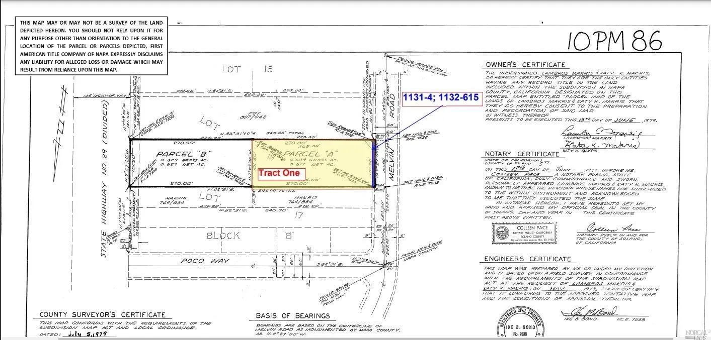
Location! Location! Location! Bring your vision, plans, and tools! Over one acre of clean canvas to paint your vision! Located in a BOOMING and highly sought-after location, these two adjacent lots are located in the heart of American Canyon and are only 11 miles from Napa and 38 miles from San Francisco. They are located in the Broadway Residential Zone and have easy freeway access. Long-term care facilities and mixed use buildings are both permitted but require a design permit prior to construction permits. Please see Table 2-3 of the Broadway District Specific Plan for a list of permitted uses. Buyer to verify all information with the city of American Canyon. One lot is .57 of an acre, apn # 058-353-006-000 and the other lot is .68 of an acre apn # 058-362-001-000. Lots can be purchased together or separately!
Bedrooms
0
Bathrooms
0
Square Feet
0
Lot Size
N/A
Year Built
0
Property Type
Residential Lot
Copyright 2025, Bay Area Rea Estate Information Services, Inc. All rights reserved.
All data, photos, visualizations, and information regarding a property, including the property's compliance with state and local legal requirements and all measurements and calculations of area, have been obtained from various sources, and may include such material that has been generated by use of artificial intelligence. Such information and material have not been and will not be verified for accuracy by the listing broker or the multiple listing service, and are not guaranteed as complete, accurate or reliable. Such information and material should be independently reviewed and verified for accuracy. This information and material are intended for the personal use of consumers and may not be used for any purpose other than to identify prospective properties consumers may be interested in purchasing.